Residential Site Plans
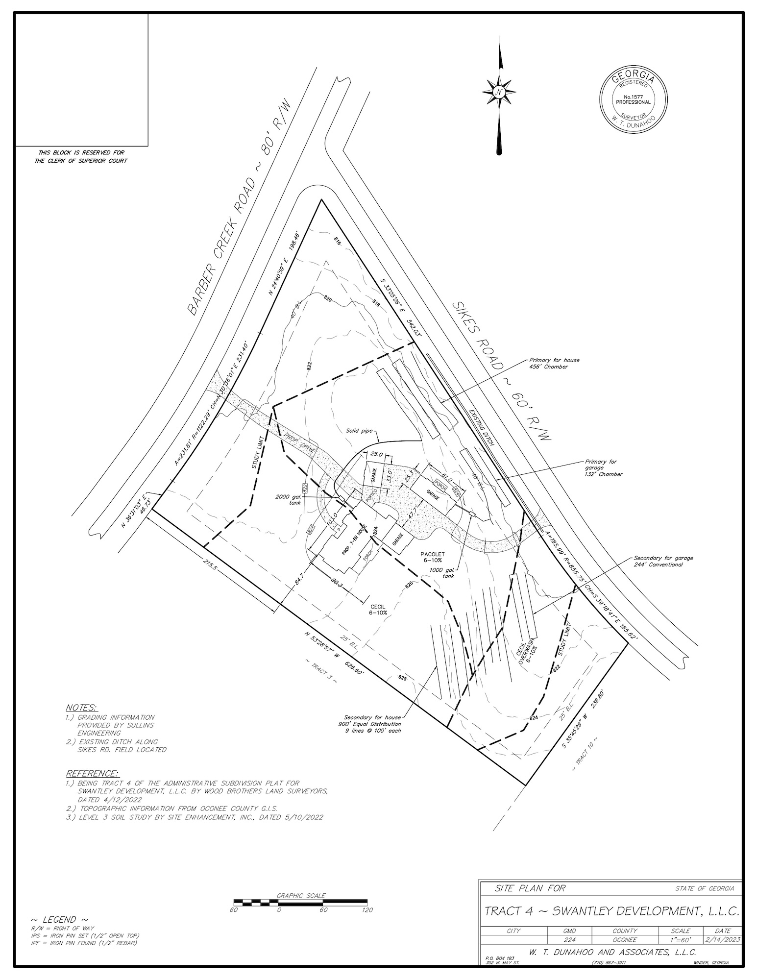
We worked with the owner of a property near the Georgia Club in Oconee County to design the perfect estate lot, featuring a 7 bedroom home and multiple garage spaces including one with living quarters. We assisted the client by preparing a site plan of the property, overlaying soils, topography and septic design to help create their perfect dream home layout.

