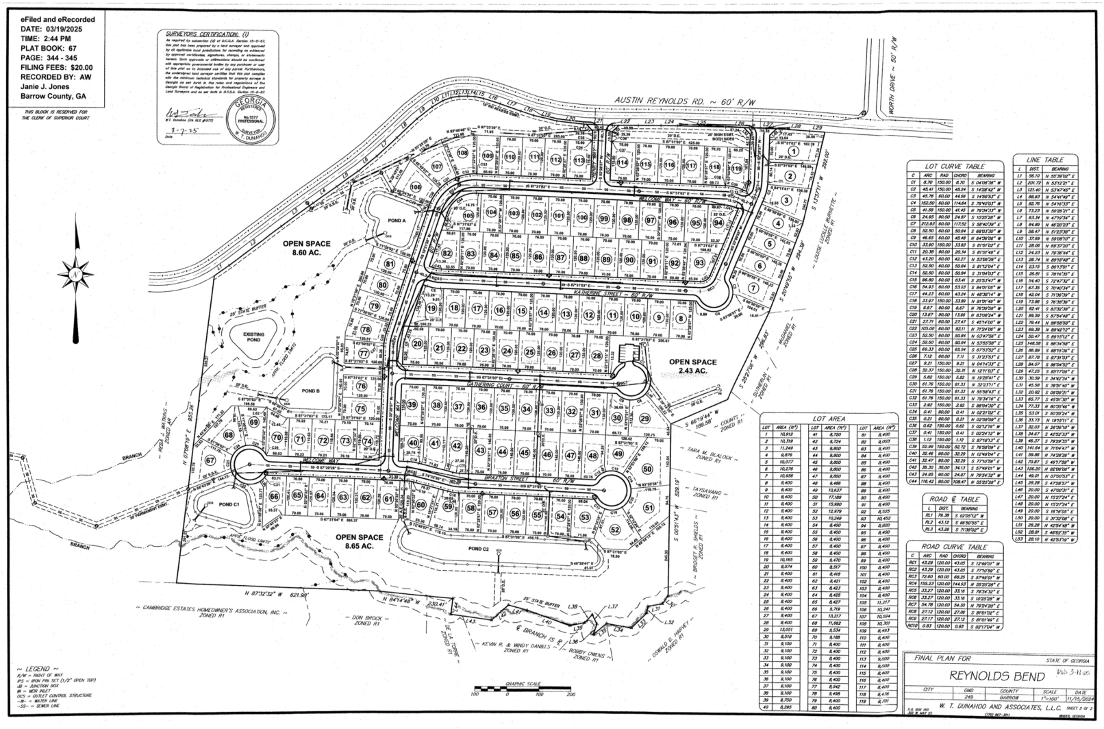
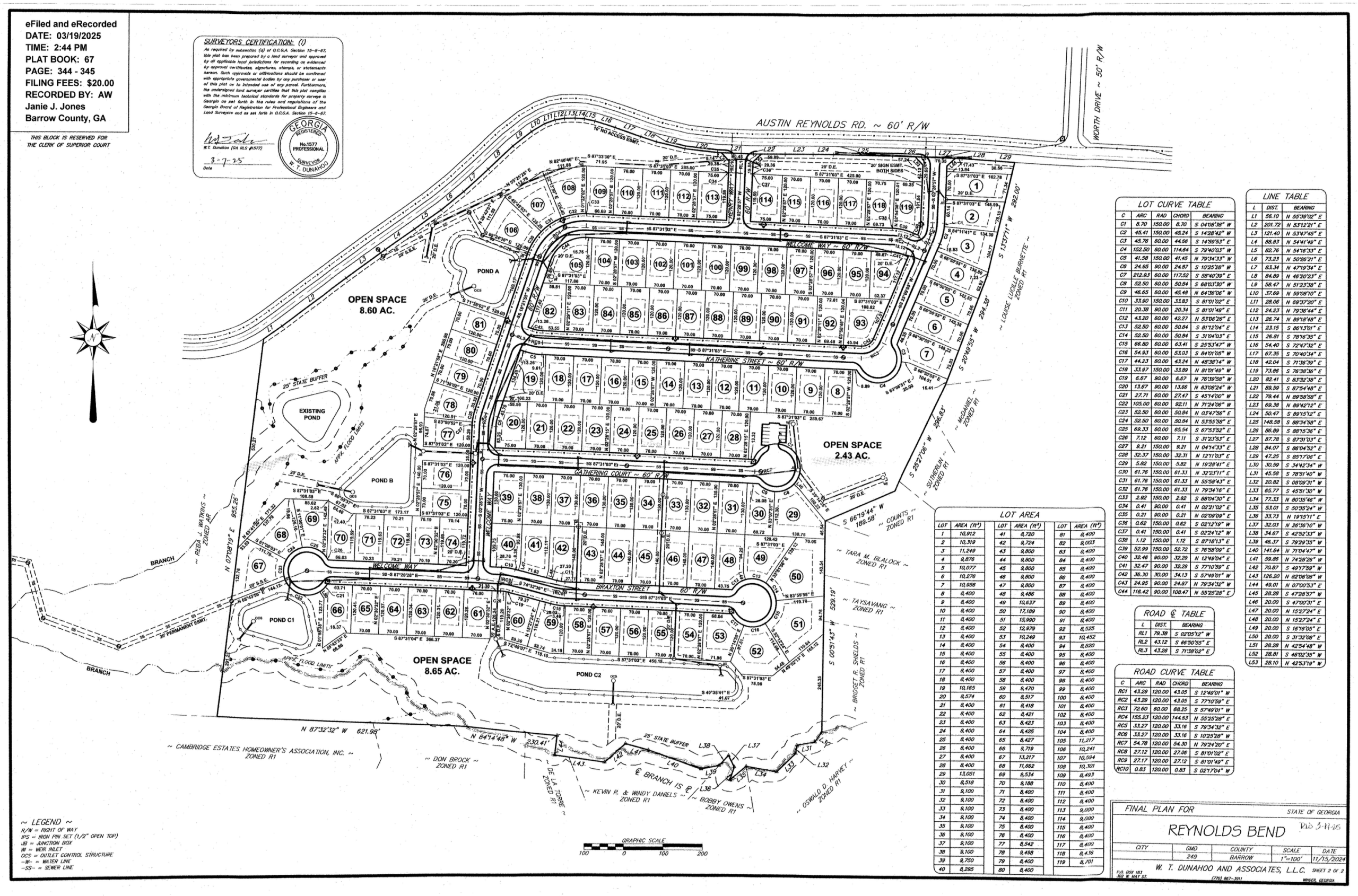
Reynolds Bend
We recently worked with ResiBuilt Homes, LLC to provide all construction staking and surveying services for the Reynolds Bend development in Barrow County. The project was composed of 53 acres, subdivided into 119 residential sewer lots. In addition to the construction staking, we also prepared the final plat and as builts for the development.


